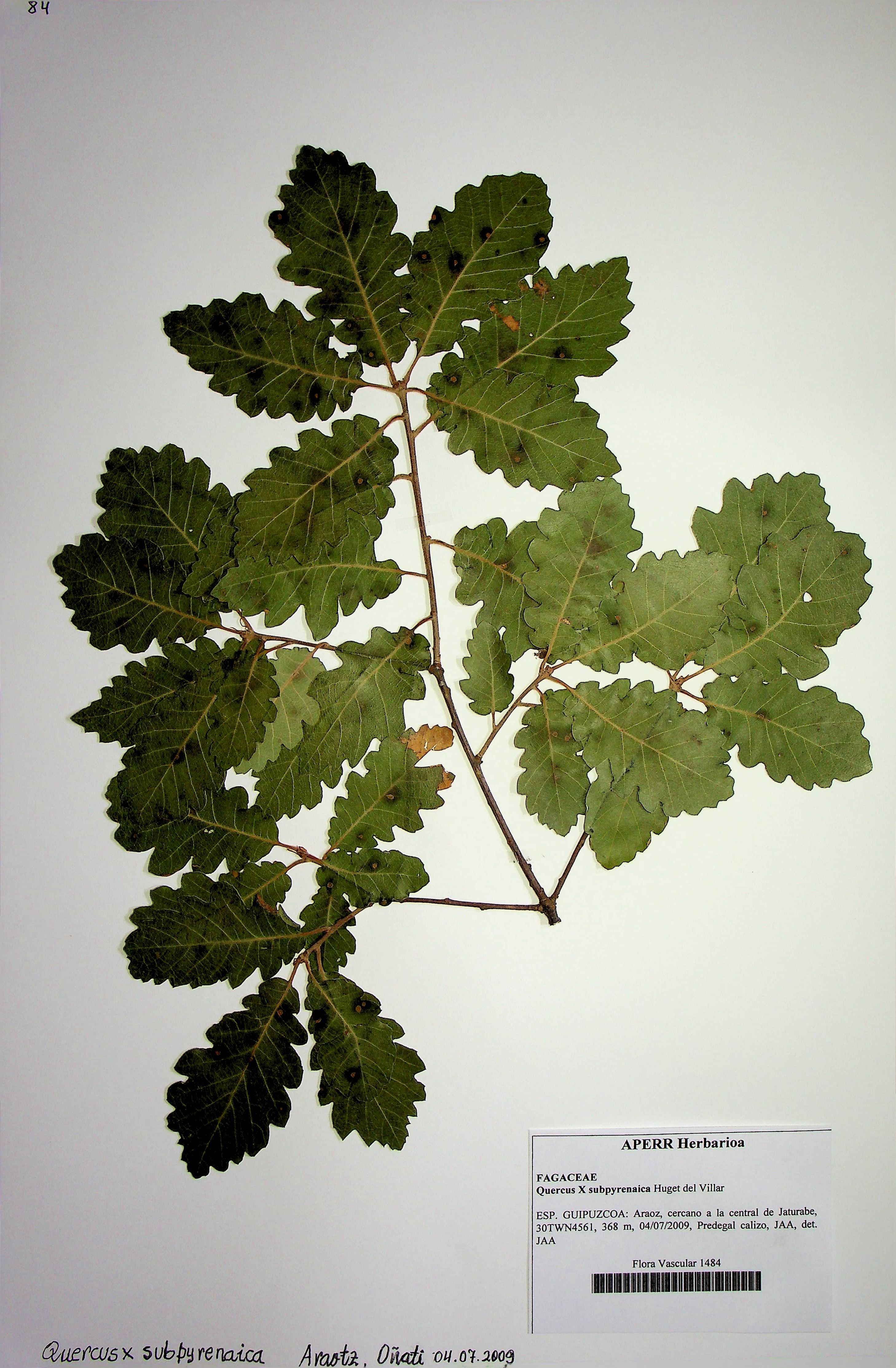
Quercus subpyrenaica
Ficha
- Título
- ES Quercus subpyrenaica
- Descripción
- ES Localización: Araotz, cercano a la central de Jaturabe. Habitat: Predegal calizo
- Identificador
- ES FV-1484
- Materia
- ES FAGACEAE
- Fecha
- ES 04/07/2009
- Conjuntos de fichas
- Herbario Aperribai
- Medios
FV-1484.jpg
