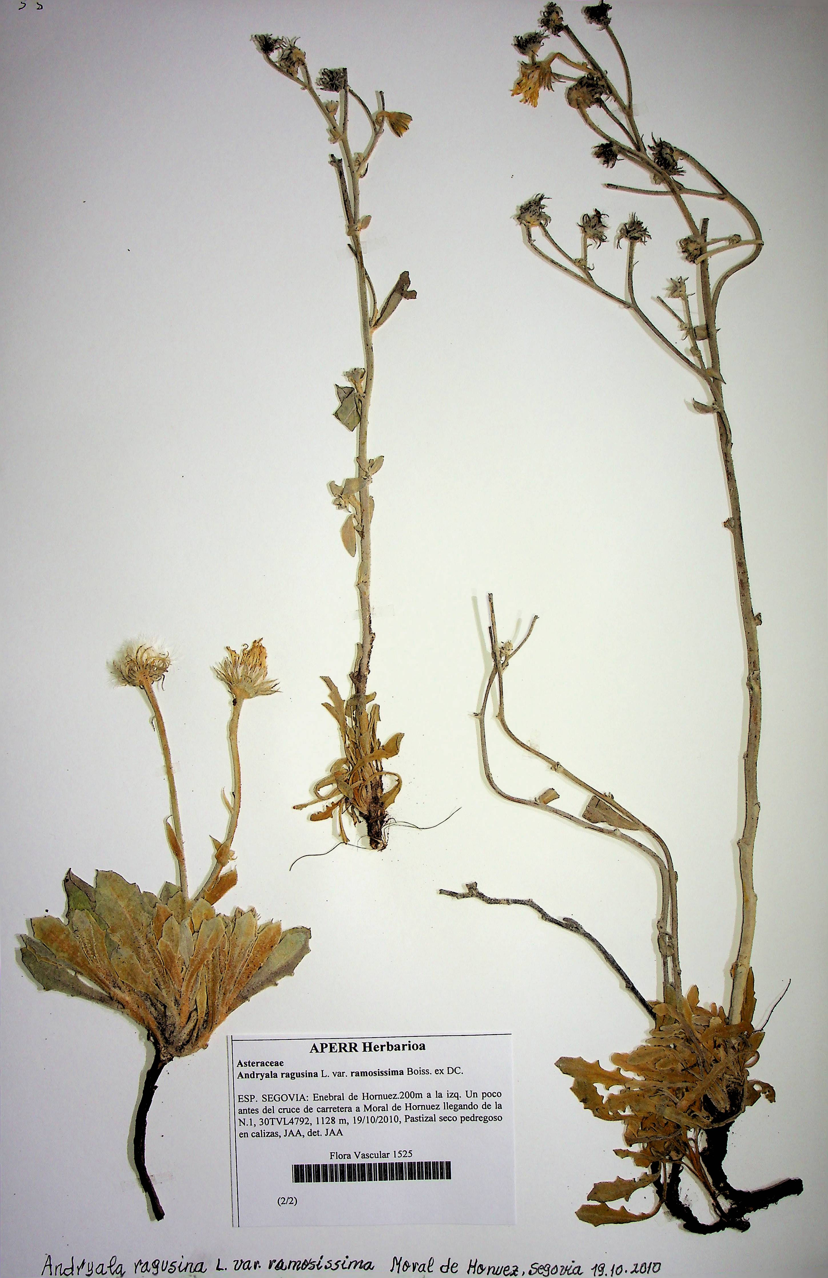
Andryala ragusina
Ficha
- Título
- ES Andryala ragusina
- Descripción
- ES Localización: Enebral de Hornuez, 200m a la izquierda un poco antes del cruce de carretera a Moral de Hornuez llegando de la N.1. Habitat: Pastizal seco pedregoso en calizas
- Identificador
- ES FV-1525
- Materia
- ES ASTERACEAE
- Fecha
- ES 19/10/2010
- Conjuntos de fichas
- Herbario Aperribai
- Medios
FV-1525.jpg
