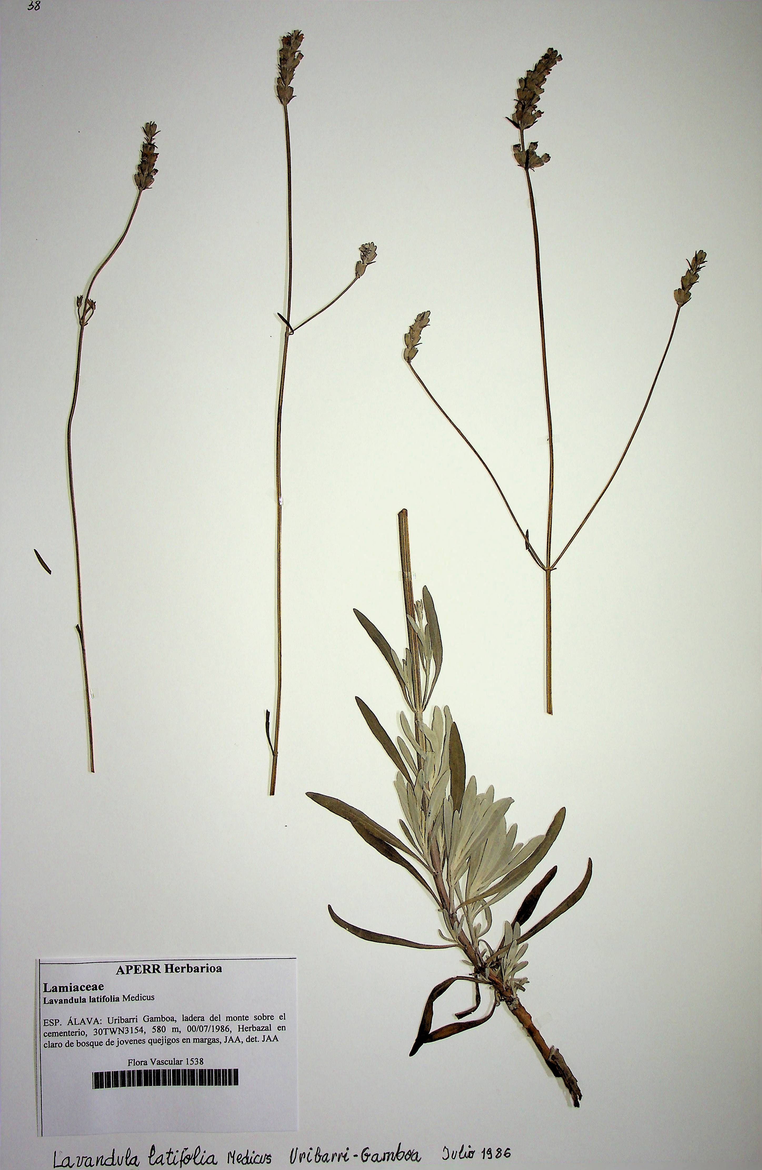
Lavandula latifolia
Ficha
- Título
- ES Lavandula latifolia
- Descripción
- ES Localización: Uribarri Gamboa, ladera del monte sobre el cementerio. Habitat: Herbazal en claro de bosque de jovenes quejigos en margas
- Identificador
- ES FV-1538
- Materia
- ES LAMIACEAE
- Fecha
- ES 00/07/1986
- Conjuntos de fichas
- Herbario Aperribai
- Medios
FV-1538.jpg
